
山口県周南市鶴見台
らーめん
山口県 周南市
希望価格
¥1,500,000
詳細情報
物件種別
土地
物件タグ
現状有姿
売却テンション
なるはや
土地面積
366㎡
物件詳細
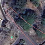
長期間そのままなので草木が結構生えていると思います。 駅からは近いです。JR岩徳線『高水』駅徒歩4分。 市街化区域 第1種低層住宅専用地域 建蔽率50%容積率80% 南西約10mの公道に27.8m面します。 住宅用地や倉庫用地、資材置き場にも最適です。
更新日: 2026年3月26日

366㎡
長期間そのままなので草木が結構生えていると思います。 駅からは近いです。JR岩徳線『高水』駅徒歩4分。 市街化区域 第1種低層住宅専用地域 建蔽率50%容積率80% 南西約10mの公道に27.8m面します。 住宅用地や倉庫用地、資材置き場にも最適です。